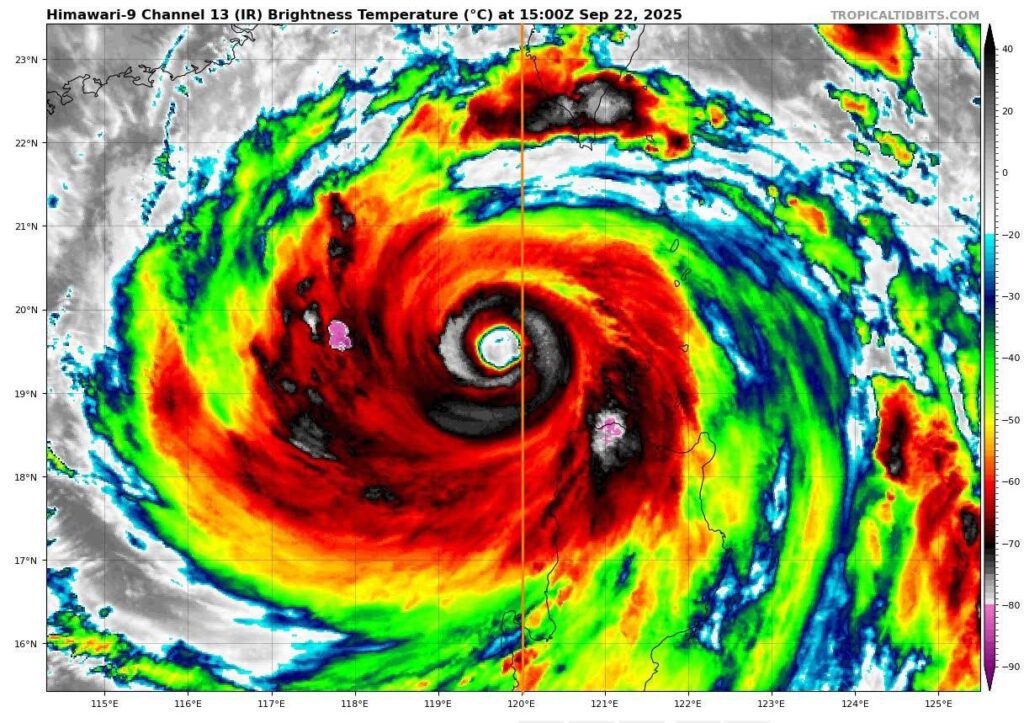
Vào tối ngày 22/9, siêu bão Ragasa đã chính thức đi vào vùng biển phía Đông Bắc của khu vực Bắc Biển Đông, trở thành cơn bão số 9 trong năm 2025.
Theo thông tin mới nhất, vào lúc 22 giờ, vị trí tâm siêu bão được xác định ở khoảng 19,5 độ Vĩ Bắc và 119,8 độ Kinh Đông. Sức gió mạnh nhất tại vùng gần tâm siêu bão đạt cấp 17, tương đương với tốc độ gió từ 202 đến 220 km/giờ, với những cơn gió giật mạnh trên cấp 17.
Dự báo trong 6 giờ tới, bão sẽ di chuyển theo hướng Tây Tây Bắc với tốc độ khoảng 20 km/h, cường độ duy trì ở cấp 17.

Mong Bão suy yếu cho dân nhờ Ông Trời ơi 🙏
cầu mong cho mọi nhà,mọi ng bình an
Sợ thế nhỉ mong vào đất liền nó suy yếu đi
Mọi điều đáng tiếc đều đến từ việc chủ quan, mong tất cả chúng ta hãy chuẩn bị kỹ lưỡng, loại bỏ tâm lý chủ quan sẽ hạn chế đến mức thấp nhất những thiệt hại do cơn bão gây ra. Mong tất cả mọi người bình an !
Nhẹ nhàng thôi 🥺
Ngọc Mai đã vào đến biển đông
Sợ quá